The city of Fresno alleges it is locked out of its own well. It is now suing the homeowner. (GV Wire Composite)
- City alleges homeowner blocked access to city-owned well.
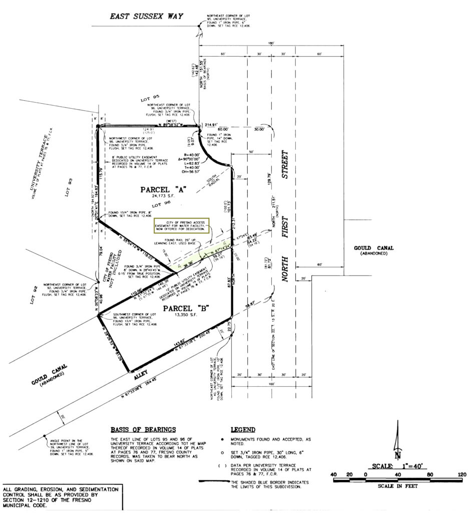
- Dispute centers on easement near First Street and Sussex Way.
- Owner claims city abandoned the well site.
Share
|
Getting your Trinity Audio player ready...
|
The city of Fresno says it is locked out of a city-owned well and that a neighbor is not cooperating. The case is headed to court.
In a lawsuit filed Jan. 22 in Fresno County Superior Court, the city alleges Manuel Richard Orrantia will not grant access to the well near a home at First Street and Sussex Way.
A Planning Department parcel map shows a triangle-shaped portion on the west side of the property belongs to the city, with a narrow easement connecting to the east side that gives the city legal access.
The home is surrounded by a wrought-iron fence. The well is not visible from the street or an adjacent alley.

City Trying to Gain Access Since 2020
A city inspector first attempted access on Nov. 10, 2020, the lawsuit says, when an employee was confronted by a “hysterical and aggressive defendant. ” Orrantia claimed the property belonged to him and forced the city employee out, denying further access.
The city says it needs access to the well for readings and possibly to drill another well on the property.
Orrantia purchased the property in 2016. The city alleges he “absorbed the property and will ward off any city employee trying to enter the site.” The city also alleges Orrantia removed locks from city-owned gates and replaced them with his own.
In March 2025, the lawsuit says Orrantia contacted the city to express interest in purchasing the parcel. The city declined and says it still cannot access the well site.
The city alleges Orrantia placed personal items on the publicly owned property and, during a phone conversation in June 2025, claimed the city abandoned the property and that he now owns it.
The lawsuit asks the court to restore the property to the city, remove personal property and issue a permanent injunction preventing Orrantia from blocking city access to the well site.
Judge Maria G. Diaz will hold a case management conference June 30.
Neither Orrantia nor the City Attorney’s Office returned messages seeking comment.
RELATED TOPICS:
Categories
DeChambeau Wins Again in Final Start Before the Masters
Trump’s Reacts to Mueller’s Death: ‘Good, I’m Glad’





